Продажа земельного участка, 16 сот.
Краснодарский край, Динской, Новотитаровская ст-ца
номер объекта 77997634
дата обновления: 18.11.2024
100% реальный объект
Продаётся земельный участок коммерческого назначения.
В новом, перспективном районе застройки ст.Новотитаровской.
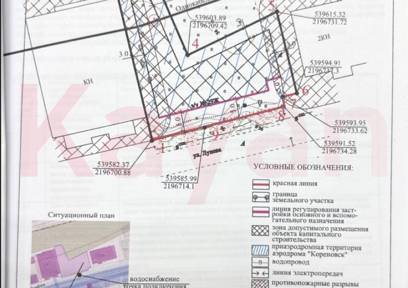
- площадь 15,59 соток.
- Категория земель: земли населённых пунктов
- Разрешенное использование: Магазины, Деловое управление
- с выходом на две улицы
- электричество 15 кВт.
- фасад 39 м. на две стороны
- размер 39х40 м.
Место активно застраивается частными домами. Коммерческой земли рядом нет.
Через дорогу, в процессе строительства Поликлиника с детским и взрослым отделением и стационаром с парковками. Строительство завершится в июне 2025 года. и займет весь квартал.
Остались вопросы? Звоните!
Оперативный показ в удобное время.
Видео по запросу.




















